Huracán Delta
El huracán Delta fue un ciclón tropical de categoría 4 que se desintegró sobre Misisipi en Estados Unidos, después de impactar la península de Yucatán en México y afectar con lluvias intensas a Jamaica, las Islas Caimán, el oeste de Cuba, Florida, Belice, Nicaragua y Honduras. Es el huracán de más rápida intensificación registrado en el Atlántico desde el Huracán Wilma en 2005. Delta se convirtió en la tercera tormenta con nombre récord de 2020 en azotar Luisiana, así como en la novena tormenta con nombre récord en azotar los Estados Unidos.
| Huracán Delta | ||
|---|---|---|
| Huracán categoría 4 (EHSS) | ||
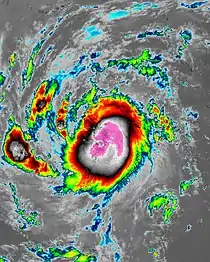
![]() El Huracán Delta, se acerca a su segundo pico de intensidad en el Golfo de México el 8 de octubre de 2020 | ||
| Historia meteorológica | ||
| Formado | 4 de octubre de 2020 | |
| Disipado |
10 de octubre de 2020 | |
| Vientos máximos |
220 km/h (140 mph) (durante 1 minuto) | |
| Presión mínima | 953 mbar (hPa; 28.14 inHg) | |
| Efectos generales | ||
| Fallecimientos |
6 totales Ver lista
| |
| Daños totales |
$3.1 mil millones (estimación, 2020) | |
| Áreas afectadas | Jamaica, Islas Caimán, Belice, Cuba, Honduras, Nicaragua, Península de Yucatán, Luisiana, Misisipi. | |
| Forma parte de la temporada de huracanes en el Atlántico de 2020 | ||
El vigésimo sexto ciclón tropical, vigésimo quinta tormenta con nombre, décimo huracán y tercer huracán importante de la extremadamente activa temporada de huracanes en el Atlántico de 2020, Delta se formó a partir de una onda tropical que fue monitoreada por primera vez por el NHC el 1 de octubre.[1] Moviéndose hacia el oeste, la ola comenzó a organizarse rápidamente y a las 18:00 UTC del 4 de octubre el sistema se organizó suficientemente y fue designado como Depresión Tropical Veintiséis, y al mediodía del 5 de octubre como Tormenta Tropical Delta. El día 6 de octubre de 2020 fue denominada como huracán de categoría 1 y justo en la tarde de ese mismo se convirtió en un huracán de categoría 4, después de las 30 horas de haber alcanzado el estado de tormenta tropical. La tasa de intensificación de Delta fue la más rápida en la cuenca del Atlántico desde el huracán Wilma en 2005.
Sin embargo, después de alcanzar su máximo intensidad de 220 km/h (140 mph) y una presión de 953 mbar, un ligero aumento en la cizalladura del viento interrumpió en gran medida el pequeño núcleo de Delta y se debilitó rápidamente antes de tocar tierra en Puerto Morelos, México, como un huracán de categoría 2. Se debilitó un poco más sobre la tierra antes de emerger al golfo de México el 8 de octubre. Después de eso, comenzó a fortalecerse, recuperando el estatus de Categoría 3 a las 18:00 UTC del 8 de octubre.[2] Luego giró hacia el norte y alcanzó una intensidad máxima secundaria de 195 km/h (120 mph) y nuevamente alcanzó su presión más baja de 953 mbar temprano el 9 de octubre. Delta luego comenzó a girar más hacia el norte - noreste, hacia un área de aguas más frías, mayor cizalladura del viento y aire seco, lo que hizo que volviera a debilitarse a la categoría 2. Luego, Delta tocó tierra a las 23:00 UTC de ese día cerca de Creole, Luisiana con vientos de 155 km/h (100 mph) y una presión de 970 mbar. Delta comenzó a debilitarse rápidamente después de tocar tierra, convirtiéndose en un ciclón extratropical en la tarde del 10 de octubre.
Se emitieron alertas y advertencias generalizadas de ciclones tropicales en todo el Caribe Occidental y los estados mexicanos de Yucatán y Quintana Roo en preparación para la tormenta. Cuando Delta se mudó hacia el golfo de México, se emitieron más vigilancias para la costa del golfo de Estados Unidos. También se declararon estados de emergencia en los estados estadounidenses de Luisiana y Alabama y se ordenó la evacuación de varias zonas costeras y bajas.
En respuesta a su paso previsto por la Península de Yucatán, el gobierno preventivamente desplegó a 5000 militares y ordenó la evacuación de las costas de Cancún.[3][4] En México, la tormenta derribó árboles y líneas eléctricas, y arrancó techos de casas y otros edificios.[5] Dos personas han muerto indirectamente a causa de la tormenta.[6][7]
Historia meteorológica

A las 00:00 UTC del 1 de octubre, el Centro Nacional de Huracanes (NHC, por sus siglas en inglés) comenzó a monitorear una onda tropical que se movía hacia el Caribe Oriental para su desarrollo potencial.[8] Se movió de manera constante hacia el oeste a 15-20 millas por hora (24-32 km/h) y comenzó a organizarse a última hora del 3 de octubre. A las 18:00 UTC del 4 de octubre, el sistema se había organizado lo suficiente y se convirtió en la Depresión Tropical Veintiséis. La depresión estuvo por más de doce horas sin cambios en su intensidad debido a la cizalladura del viento. Dieciocho horas después, la depresión se fortaleció hasta convertirse en tormenta tropical, por lo que se le asignó el nombre de Delta a las 12:00 UTC del 5 de octubre.[8]
Continuando hacia el oeste, desafiando los pronósticos que predecían repetidamente un giro hacia el noroeste, Delta comenzó un período de rápida intensificación, convirtiéndose en un huracán de categoría 1, doce horas después de haber sido nombrado, a las 00:00 UTC del 6 de octubre.[9] Cuando finalmente comenzó a girar hacia el noroeste temprano el 6 de octubre, Delta continuó intensificándose rápidamente, alcanzando vientos de 140 km/h (85 mph) seis horas después a las 06:00 UTC. A las 12:30 UTC, Delta comenzó a desarrollar un pequeño ojo estenopeico de solo 6 millas náuticas de diámetro, aunque no era visible en las imágenes de satélite.[10] La intensificación rápida de Delta continuó y, a las 18:00 UTC de ese día había llegado a su máxima intensidad de categoría 4 con vientos de 220 km/h (140 mph) y una presión de 953 mbar. Delta se intensificó de una tormenta tropical a un huracán de categoría 4 en aproximadamente 30 horas.[11] La intensificación de Delta se describió como la más rápida en un período de 24 horas desde el Huracán Wilma de 2005.

Después de haber llegado a su máxima intensidad Delta comenzó a debilitarse debido a los vientos cortantes y al aire seco, cayendo por debajo de la categoría 4 a las 00:00 UTC del 7 de octubre. Delta continuó debilitándose más y cayó por debajo de la fuerza de huracán mayor a las 06:00 UTC de ese día. A las 10:30 UTC, Delta tocó tierra cerca de Puerto Morelos, México con vientos de 165 km/h (105 mph) y una presión de 971 mbar. Después de tocar tierra la tormenta continuó debilitándose más sobre la Península de Yucatán. Delta emergió al Golfo de México en la tarde de ese día y continuaba debilitándose. Temprano en la mañana del 8 de octubre, Delta comenzó a reintensificarse, con un ojo que ocasionalmente se hizo evidente en las imágenes de satélite y una presión central mínima descendente a medida que giraba hacia el norte antes de una vaguada que se acercaba al noroeste. Delta recuperó la intensidad de Categoría 3 a las 18:00 UTC de ese día, antes de alcanzar su intensidad máxima secundaria a las 00:00 UTC del 9 de octubre, con vientos de 195 km/h (120 mph) y nuevamente alcanzar su presión mínima de 953 mbar[12] Al girar hacia el norte, Delta se movió hacia un ambiente hostil de aguas más frías, aire más seco y una creciente cizalladura del viento. Esto hizo que Delta comenzara una tendencia de debilitamiento lento a medida que su ojo se nublaba y su patrón convectivo se volvía irregular.[13][14] Fue degradado a huracán de categoría 2 a las 18:00 UTC mientras giraba hacia el norte-noreste hacia tierra. Luego, Delta tocó tierra cerca de Creole, Louisiana, con vientos de 155 km/h (100 mph) y una presión de 970 mbar a las 23:00 UTC. Después de eso, Delta comenzó a debilitarse rápidamente, cayendo al estado de Categoría 1 una hora después de tocar tierra a las 00:00 UTC del 10 de octubre. Se debilitó aún más a una tormenta tropical seis horas después, a las 06:00 UTC. Aceleró hacia el noreste y se debilitó hasta convertirse en extratropical sobre el oeste de Misisipi a las 18:00 UTC de ese día y el NHC emitió el aviso final y entregó la responsabilidad de emitir avisos futuros al Centro de Predicción Meteorológica (WPC). Seis horas después, Delta degeneró en un nivel bajo no tropical. Delta continuó debilitándose a medida que giraba hacia el este y el WPC emitió su aviso final a las 03:00 UTC del 12 de octubre mientras el sistema estaba sobre Georgia. Nueve horas más tarde, el bajo remanente fue absorbido por un sistema en desarrollo en Carolina del Norte.[15][16]

Preparaciones
Islas Caimán
Se emitieron avisos de tormenta tropical para las islas de Gran Caimán y Caimán Brac cuando se iniciaron por primera vez los avisos. En las Islas Caimán, todas las escuelas públicas estuvieron cerradas del 5 al 6 de octubre, ya que se pronosticaba que las bandas de lluvia traerían fuertes vientos e inundaciones a las islas. Todas las oficinas gubernamentales estaban preparadas en la tarde del 5 de octubre y permanecieron cerradas durante todo el día 6 de octubre. Cayman Airways informó la cancelación de sus vuelos.[17] El refugio de la Cruz Roja en Huldah Avenue estaba en espera en caso de inundación. El gobierno estableció instalaciones de refugio con el protocolo adecuado para COVID-19 para personas con el virus que se aíslen en sus hogares. Se cancelaron todos los eventos gubernamentales del 5 al 6 de octubre, incluidas las actividades del Mes de las Personas Mayores.[18]

Cuba
Cuando se emitió la alerta inicial sobre la tormenta, se emitió una alerta de huracán para las provincias de Pinar del Río, Artemisa e Isla de la Juventud, mientras que una alerta de tormenta tropical para La Habana. Tres horas después de que la tormenta se convirtió en tormenta tropical Delta, la alerta para Pinar del Río se actualizó a una advertencia de huracán mientras que se emitió una advertencia de tormenta tropical para la Isla de la Juventud. Esto, sin embargo, fue degradado a una advertencia de tormenta tropical cuando el huracán Delta corrió hacia el sur y puso menos áreas en peligro.[19]
México
Mientras Delta se acercaba a tocar tierra en Quintana Roo, muchas comunidades seguían siendo afectadas por los restos del Huracán Gamma, que causó seis muertes y dejó a miles de personas sin hogar. Apenas unos minutos después de que se retiraran las alertas de tormenta tropical y las advertencias del Huracán Gamma en la Península de Yucatán, se emitió una advertencia de huracán para la parte noreste de la península después de que Delta corriera hacia el sur, poniendo a la región en la línea de impacto potencial.[20][21] El presidente Andrés Manuel López Obrador informó el 6 de octubre que el almirante José Rafael Ojeda Durán, secretario de Marina, y Laura Velázquez, Coordinadora Nacional de Protección Civil, viajaban a Quintana Roo para ayudar en los preparativos del huracán Delta. El gobierno federal también se había estado comunicando con el gobernador de Quintana Roo, Carlos Joaquín González, desde el 5 de octubre.[22][23] Además, el mandatario anunció el 6 de octubre la activación del plan de emergencia DN-III-E y la movilización de 5.000 soldados de las Fuerzas Armadas hacia el sureste del país, para ayudar con la evacuación del albergue de personas aún recuperándose del Huracán Gamma. Más de 4,000 personas, incluidos turistas y residentes, fueron evacuadas de Holbox debido a la amenaza de impactos potencialmente mortales del huracán Delta. Se habilitaron siete de los 59 albergues que existen en el municipio de Lázaro Cárdenas con una capacidad para 1.800 personas. Un total de 41 mil turistas fueron evacuados en el estado de Quintana Roo y se declaró alerta roja para el estado. Se cerraron muchos hoteles y sitios arqueológicos en la Península de Yucatán, incluidos los concurridos sitios históricos de Chichén Itzá y Tulum. En Cancún se abrieron 160 albergues para turistas y residentes. Además, alrededor de 400 turistas se hospedaron en el Centro de Convenciones de Cancún, y unos 300 invitados y 200 empleados del hotel Fiesta Americana Condesa se refugiaron en el campus del Instituto Tecnológico de Cancún. Un partido de fútbol de la división inferior se pospuso el 8 de octubre. .[24]

Alabama
A los turistas y visitantes se les ordenó abandonar las islas de la barrera de Alabama a partir del 6 de octubre, mientras que también se declaró el estado de emergencia para el estado[25]
Mississippi
El gobernador de Misisipi, Tate Reeves, declaró el estado de emergencia el 7 de octubre antes de la tormenta. La Agencia de Manejo de Emergencias de Mississippi distribuyó 160,000 sacos de arena a los condados de Hancock, Harrison y Jackson.[26] El 8 de octubre, el presidente Donald Trump aprobó la solicitud del gobernador Reeves de una declaración de emergencia federal en previsión del huracán Delta.[27] El 8 de octubre, la Marina Municipal de Gulfport aconsejó a las embarcaciones que evacuaran a la 1:00 pm CDT (18:00 UTC).[28]
Luisiana
El área que Delta amenazó era la misma área afectada por el Huracán Laura más fuerte poco más de un mes antes. Muchos residentes todavía estaban "traumatizados" debido a los importantes daños del Huracán Laura que aún son evidentes en las zonas costeras. Alrededor de 5.600 residentes seguían ubicados en hoteles seis semanas después del golpe de Laura porque sus casas fueron destruidas por el huracán.[29] Además, 6.000 hogares todavía tenían lonas.
El 6 de octubre, el gobernador de Luisiana, John Bel Edwards, declaró el estado de emergencia antes del huracán Delta.[30] Un grupo de bomberos de Tulsa, Oklahoma, viajó a Monroe para establecer un refugio para los evacuados y ayudar con los rápidos rescates acuáticos a lo largo de la costa.[31] Waitr ofreció entrega de comestibles gratis en Lafayette para aquellos que no pueden o eligen no salir en público para prepararse para la tormenta.[32] El 7 de octubre, el gobernador de Louisiana, John Bel Edwards, se reunió con el presidente de los Estados Unidos, Donald Trump, quien acordó firmar una declaración de desastre para todo el estado antes de la tormenta.[33]
En el fútbol universitario, un enfrentamiento entre Louisiana-Lafayette y Coastal Carolina se pospuso hasta el 14 de octubre.[34] El enfrentamiento entre LSU y Missouri también se trasladó a Faurot Field en Columbia, Misuri. Más de 1.000 miembros de la Guardia Nacional de Luisiana, 7.500 trabajadores de servicios públicos y docenas de vehículos, barcos y aviones de rescate en alta mar se pusieron en espera.[35] Otros 8.000 trabajadores de servicios públicos esperaban fuera del estado.
Impacto
México
La tormenta provocó cortes de energía y árboles derribados en Cancún y Cozumel. Se informó una ráfaga de viento máxima de 110 mph (175 km/h) en Puerto Morelos, Quintana Roo, donde el huracán tocó tierra. Se informó de otra ráfaga de viento de 171 km/h (106 mph) en las cercanías de Cancún.[36] El funcionario de Defensa Civil, Luís Alberto Vázquez, dijo que no hubo informes inmediatos de muertos o heridos, pero informó que Delta derribó unos 95 árboles y provocó cortes de energía en partes de la península de Yucatán. Muchos hoteles y complejos turísticos perdieron la electricidad y el aire acondicionado. Se informó de inundaciones en las calles de Cozumel.[37][38] Muchos muelles fueron destruidos debido a la marejada ciclónica y varios edificios cerca de la costa también fueron destruidos. Antes de la llegada del huracán, un hombre de 65 años en Tizimín, Yucatán, perdió la vida luego de caer desde el segundo piso de su casa mientras se preparaba para la tormenta. Tras la tormenta una mujer perdió la vida en Mérida tras tocar un poste derribado y así ser electrocutada.[39] Las intensas lluvias ocasionaron que el manto freático aumentara de nivel causando que los cenotes se desbordaran inundando tierras bajas y las ciénegas cercanas a las costas cambiaran su agua salada a dulce.[40][41] Los daños en México debido a Delta son de $ 185 millones USD aproximadamente.

Texas
25.000 clientes en Texas y Luisiana se quedaron sin electricidad antes de que Delta tocara tierra. Ese número pronto se elevó a 740.000 cuando Delta avanzó tierra adentro. Los vientos con fuerza de tormenta tropical de Delta se informaron por primera vez en Texas, donde una estación de la Red de Observación del Océano Costero de Texas en el Embarcadero Norte de la Bahía de Galveston informó vientos sostenidos de 42 mph (68 km/h) y una ráfaga de 49 mph (78 km/h) alrededor de las 16:00 UTC del 9 de octubre.[42] En las horas siguientes, se informó una ráfaga de viento de 89 km/h (55 mph) en el Aeropuerto Regional Jack Brooks cerca de Port Arthur, se observó una ráfaga de viento de 97 km/h (60 mph) en Nederland. La estación Ocean Observation Network en Texas Point informó vientos sostenidos de 62 mph (100 km/h) con una ráfaga de 78 mph (126 km/h). En Galveston, a unas 100 millas (160 km) de donde el centro tocó tierra, los vientos derribaron árboles, letreros en las calles y dos casas en construcción. Debido a las dunas de arena aplastadas por tormentas anteriores, la marejada ciclónica alcanzó debajo de las casas elevadas. Grandes oleajes y corrientes de resaca provocaron cierres de playas tan al oeste como la desembocadura del Río Grande.[43][44][45]
Luisiana

Se informó sobre inundaciones en las calles de Baton Rouge el 8 de octubre. El Aeropuerto Metropolitano de Baton Rouge reportó 8 pulgadas (200 mm) de lluvia, lo que provocó una advertencia de inundación repentina emitida por el Servicio Meteorológico Nacional. .[46] Al menos 25 automovilistas quedaron atrapados en la marea alta en Baton Rouge. Al día siguiente, el Aeropuerto Regional de Lake Charles informó una ráfaga de viento de 60 mph (96 km/h) cuando la tormenta se acercaba alrededor de las 18:00 UTC, mientras que otra estación en Lake Charles registró una ráfaga máxima de 88 mph (142 km/h). En las siguientes horas, un sitio de observación WeatherFlow cerca de Cameron informó una ráfaga de viento de 51 mph (82 km/h) y una estación del Servicio Nacional Oceánico en Calcasieu Pass informó vientos sostenidos de 53 mph (85 km/h), una ráfaga de viento de 64 mph (104 km/h) y una presión de 983,8 mb (29,05 inHg). Alrededor del momento de tocar tierra, una torre de monitoreo costera de Florida cerca de Lake Arthur informó un viento sostenido de 77 mph (123 km/h) y una ráfaga de 96 mph (154 km/h) mientras que un medidor de nivel de agua del Servicio Meteorológico Nacional de la NOAA en Freshwater Canal Locks reportó 8 pies (2.4 m) de marejada ciclónica. Poco después, el Aeropuerto Regional de Lake Charles informó vientos sostenidos de 103 km/h (64 mph) con ráfagas de 153 km/h (95 mph).[47]
Delta tocó tierra a solo 19 km (12 millas) al este de donde lo hizo el Huracán Laura seis semanas antes. Muchas áreas en Lake Charles fueron dañadas de nuevo y algunas casas se inundaron en Moss Bluff. Se produjeron daños adicionales en Jennings y se informó de cortes de energía generalizados. En la parroquia de Calcasieu, varios vehículos se volcaron en la I-10. Debido a múltiples accidentes automovilísticos en el puente del río Calcasieu, ambas direcciones del puente, que llevan la I-10 y la US 90, estaban cerradas al tráfico.[48] El techo del hotel Bank en Lake Arthur sufrió daños cuando se arrancaron muchas de las tejas de la parte superior. En St. Martinville, un incendio relacionado con un generador provocó la muerte de un hombre de 86 años. Además, una mujer de 70 años en Iberia Parish, murió en un incendio probablemente causado por una fuga de gas natural tras los daños del huracán Delta.[49]
Mississippi
Delta derribó muchos árboles en todo Misisipi. Un árbol aterrizó en un vehículo de noticias mientras su tripulación estaba adentro en Jackson. Nadie resultó gravemente herido. Se informó de una ráfaga de 54 mph en Jackson. En el área metropolitana de Jackson, el daño fue mínimo, con cortes de energía, algunos árboles caídos y una señal de tráfico dañada. En el condado de Warren, la administración de emergencias informó 36 árboles caídos, incluido uno que cayó sobre una casa en Vicksburg. En el estado, un total de 95,700 clientes se quedaron sin energía. Las carreteras principales como la US 61, US 84 y US 51 se cerraron debido a árboles caídos y escombros. En Natchez, una casa fue destruida por un gran árbol derribado, y varias otras casas, apartamentos y negocios resultaron dañados. Un tornado EF0 extremadamente breve en McCall Creek también arrancó árboles cerca de una casa el 9 de octubre.
En otras partes
El precursor de Delta trajo mal tiempo en las Antillas Menores, las Islas ABC, las Islas Vírgenes, Puerto Rico y La Española. Dos personas se ahogaron en Florida como resultado del huracán Delta. Un ahogamiento ocurrió en Pensacola, donde un hombre de 49 años quedó atrapado en fuertes corrientes de resaca y otro ahogamiento ocurrió en Destin, donde un turista de 19 años se ahogó y otro fue rescatado después de quedar atrapado en una corriente de resaca producida por el huracán Delta. Los restos de Delta también afectaron partes del noreste de Estados Unidos. En Nueva Jersey, se registró una cantidad máxima de lluvia de 3.67 pulgadas (93 mm) en West Creek, y una ráfaga de viento máxima de 42 millas por hora (68 km/h) en Sea Girt. El 10 de octubre en Georgia, un tornado EF1 dañó un refugio para personas sin hogar en Covington, hiriendo a dos personas y desplazando a otras 30. El 11 de octubre, un tornado EF1 en Latta, Carolina del Sur, destruyó un cobertizo de almacenamiento y dañó una valla publicitaria, una casa móvil, una casa y árboles. Más tarde, otro tornado EF1 en Conway, Carolina del Sur dejó árboles cortados y arrancados de raíz los cuáles dañaron significativamente una casa y un antiguo granero, y causaron daños menores a un cobertizo de almacenamiento y otra casa, hiriendo a una persona. Un tornado EF1 en Nakina, Carolina del Norte, dañó el techo y la cochera de una casa, así como una dependencia.
Referencias
- «NHC Graphical Outlook Archive». www.nhc.noaa.gov. Consultado el 5 de octubre de 2020.
- Beven (8 de octubre de 2020). «Hurricane Delta - Public Advisory 17». National Hurricane Center. Consultado el 8 de octubre de 2020.
- «Artículo web de Télam, agencia de noticias estatal Argentina». La tormenta tropical Delta avanza hacia México como un huracán "extremadamente peligroso". Télam. 6 de octubre de 2020.
- «Nota por agencia de noticias AFP citada por Télam». Delta se vuelve huracán y amenaza a México antes de llegar al sur de EEUU. AFP. 6 de octubre de 2020.
- «Delta toca tierra en México como huracán de categoría 2 | Washington Hispanic». 7 de octubre de 2020.
- «Yucatán: Abuelito muere al asegurar su casa por paso de huracán Delta en Tizimín». Novedades Yucatan. 7 de octubre de 2020. Consultado el 7 de octubre de 2020.
- «Mérida: Inundaciones en Fracc Las Américas provocan que mujer muera electrocutada». Novedades Yucatan. 8 de octubre de 2020. Consultado el 8 de octubre de 2020.
- Stacy R. Stewart (1 de octubre de 2020). «Two-Day Graphical Tropical Weather Outlook». www.nhc.noaa.gov. Miami, Florida: National Hurricane Center. Consultado el 5 de octubre de 2020.
- John Cangialosi (6 de octubre de 2020). «Hurricane Delta Intermediate Advisory Number 5A». www.nhc.noaa.gov. Miami, Florida: National Hurricane Center. Consultado el 6 de octubre de 2020.
- Semple, Kirk (7 de octubre de 2020) [Updated October 9, 2020]. «Hurricane Delta Moves Into Gulf After Striking, but Mostly Sparing, Mexico». The New York Times. Consultado el 10 de noviembre de 2020.
- John Cangialosi (8 de octubre de 2020). «Hurricane Delta Advisory Number 14A». www.nhc.noaa.gov. Miami, Florida: National Hurricane Center. Consultado el 8 de octubre de 2020.
- Jack Beven (8 de octubre de 2020). «Hurricane Delta Discussion Number 16». www.nhc.noaa.gov. Miami, Florida: National Hurricane Center. Consultado el 8 de octubre de 2020.
- «Hurricane DELTA». www.nhc.noaa.gov. Consultado el 10 de octubre de 2020.
- «Hurricane DELTA». www.nhc.noaa.gov. Consultado el 10 de octubre de 2020.
- «High Resolution Coded Surface Frontal Positions for October 12, 2020 12UTC». mesonet.agron.iastate.edu. Iowa Environmental Mesonet. Weather Prediction Center. 12 de octubre de 2020. Consultado el 12 de octubre de 2020.
- «North America Surface Analysis for October 12, 2020 12UTC». wpc.ncep.noaa.gov. Weather Prediction Center. 12 de octubre de 2020. Consultado el 12 de octubre de 2020.
- «Potential Tropical Cyclone TWENTY-SIX». www.nhc.noaa.gov. Consultado el 5 de octubre de 2020.
- «Cayman: Tropical Storm Delta could become a hurricane tonight». www.loopcayman.com. 5 de octubre de 2020. Consultado el 6 de octubre de 2020.
- «Tropical Storm DELTA». www.nhc.noaa.gov. Consultado el 5 de octubre de 2020.
- «'Very impressive rapid intensification': Delta now a Category 4 'major' hurricane, heads for Mexico then US». USA Today. 6 de octubre de 2020. Consultado el 6 de octubre de 2020.
- «Desalojos masivos de hoteles y alerta roja en México ante la proximidad del huracán Delta, ahora de categoría 3». Univision. 6 de octubre de 2020. Consultado el 7 de octubre de 2020.
- «Tropical Depression GAMMA». www.nhc.noaa.gov. Consultado el 5 de octubre de 2020.
- «Tropical Storm DELTA». www.nhc.noaa.gov. Consultado el 5 de octubre de 2020.
- Janice Dean and Travis Fedschun (7 de octubre de 2020). «Hurricane Delta makes landfall near Cancun as Mexico faces 'powerful' storm, tourists hunker down» (en inglés). Fox News. Consultado el 7 de octubre de 2020.
- Brackett, Ron; Wesner Childs, Jan (6 de octubre de 2020). «Hurricane Delta: Visitors Ordered to Leave Alabama Barrier Islands; Storm-Weary Louisiana Braces for Hit». The Weather Channel. Archivado desde el original el 7 de octubre de 2020. Consultado el 6 de octubre de 2020.
- «Governor Reeves Issues State of Emergency for Hurricane Delta». www.msema.org. Mississippi Emergency Management Agency. 7 de octubre de 2020. Consultado el 9 de octubre de 2020.
- «President Trump Approves Pre-landfall Disaster Declaration for Hurricane Delta». www.msema.org. Mississippi Emergency Management Agency. 7 de octubre de 2020. Consultado el 9 de octubre de 2020.
- «Shelter Information/ Evacuation Orders». www.msema.org. Mississippi Emergency Management Agency. Archivado desde el original el 8 de octubre de 2020. Consultado el 9 de octubre de 2020.
- «'Sheer anxiety': Louisiana braces itself for Hurricane Delta». CNBC. 8 de octubre de 2020.
- «Proclamation Number 133 JBE 2020». Consultado el 7 de octubre de 2020.
- Ellis, Ashley (7 de octubre de 2020). «OK Task Force 1 heading back to Louisiana for Hurricane Delta». ktul.com. 8 ABC Tulsa. Consultado el 7 de octubre de 2020.
- Briggs, Akemi (7 de octubre de 2020). «Waitr Offering Free Grocery Delivery in Lafayette in Preparation for Hurricane Delta». kadn.com. FOX 15 KADN/KLAF. Archivado desde el original el 11 de octubre de 2020. Consultado el 7 de octubre de 2020.
- «The Latest: Mississippi governor declares state of emergency». Yahoo Sports. The Associated Press. 7 de octubre de 2020. Consultado el 7 de octubre de 2020.
- Buckley, Tim. «Louisiana-Lafayette moves game against Coastal Carolina to Oct. 14 as Hurricane Delta looms». USA TODAY.
- «LSU-Missouri game switches venue, time because of hurricane threat». The Vicksburg Post. 7 de octubre de 2020.
- «Huracán Delta en vivo: Últimas noticias y trayectoria hacia Quintana Roo en directo». MARCA Claro México. 6 de octubre de 2020.
- «Delta toca tierra en México como huracán de categoría 2». Washington Hispanic. 7 de octubre de 2020.
- Pedersen, Joe Mario. «Hurricane Delta loses strength, but forecast to reintensify into a Category 4 storm». orlandosentinel.com.
- «Mérida: Inundaciones en Fracc Las Américas provocan que mujer muera electrocutada». Novedades Yucatan. 8 de octubre de 2020. Consultado el 8 de octubre de 2020.
- Yucatán: Se desbordó cenote de Dzibilchaltún por Delta; seguirá cerrado al público
- El rebose del acuífero: no hay que esperar la tercera llamada
- «Hurricane DELTA». www.nhc.noaa.gov. Consultado el 9 de octubre de 2020.
- «Hurricane DELTA». www.nhc.noaa.gov. Consultado el 9 de octubre de 2020.
- «Hurricane DELTA». www.nhc.noaa.gov. Consultado el 9 de octubre de 2020.
- «Hurricane DELTA». www.nhc.noaa.gov. Consultado el 9 de octubre de 2020.
- «Hurricane Delta: Roads Flooded, Buildings Damaged as Storm Moves Inland; More Than 400,000 Without Power». The Weather Channel. Consultado el 12 de octubre de 2020.
- «More than 300,000 without power in Texas, Louisiana». The Washington Post. 10 de octubre de 2020. Consultado el 9 de octubre de 2020.
- Santana, Rebecca; Plaisance, Stacey (9 de octubre de 2020). «Hurricane Delta inflicts new damage on storm-weary Louisiana». AP News. Archivado desde el original el 12 de octubre de 2020. Consultado el 12 de octubre de 2020.
- «Louisiana Department of Health verifies two Hurricane Delta-related deaths». kalb.com. 11 de octubre de 2020. Consultado el 11 de octubre de 2020.

.jpg.webp)