Terreno cerebral
El terreno cerebral es un tipo de relieve propio de la superficie de Marte, caracterizado por un complejo patrón de surcos que recuerdan el aspecto de un cerebro humano.


Forman parte de los derrubios frontales lobulados, de los acúmulos lineales de fondo de valle y de los rellenos concéntricos de cráteres. Cuando las motas son anchas, se denomina terreno cerebral de celdas cerradas, mientras que la disposición menos común de motas estrechas se conoce como terreno cerebral de celdas abiertas.[1]
Se piensa que el terreno de celdas cerradas contiene un núcleo de hielo, y cuando el hielo desaparece del centro, se producen derrumbamientos que generan el terreno de celdas abiertas. Las medidas de las sombras tomadas por el HiRISE indican que estas motas presentan entre 4 y 5 metros de alto. Se ha observado que el terreno cerebral se forma a partir de un tipo de suelo denominado "unidad de llanura superior", originado a partir del depósito de espesores considerables de nieve o hielo revestidos de polvo atmosférico. El proceso comienza con la formación de grietas de tensión.[2]
Es ampliamente aceptado que formas de estilo glaciar como los derrubios frontales lobulados, los acúmulos lineales de fondo de valle y los rellenos concéntricos de cráter están relacionados con esta textura superficial tan particular. Las formas de estilo glaciar en valles y hondonadas como los circos, pueden converger con otras similares para producir derrubios frontales lobulados. Cuando dos de estas formaciones opuestas convergen, se producen acúmulos lineales de fondo de valle.[3] Los elementos de este tipo probablemente contienen materiales ricos en hielo. Se localizan preferentemente en el hemisferio norte, en la zona correspondiente de la frontera que delimita la dicotomía marciana, mayoritariamente entre los 0° y los 70° de longitud este.[4] Cercanas a esta área se hallan regiones con nombres de lugares antiguos: Deuteronilus Mensae, Protonilus Mensae, y Nilosyrtis Mensae.
Las faldas de derrubios lobulados, los acúmulos lineales de fondo de valle, y los rellenos concéntricos de cráter muy probablemente son enormes depósitos de hielo cubiertos de rocas, derrubios y polvo.[5][6][7][8]
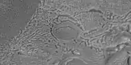
Terreno cerebral en el cuadrángulo Ismenius Lacus (imagen HiRISE).
Acúmulos lineales de fondo de valle en Coloe Fossae, cuadrángulo Ismenius Lacus (imagen HiRISE).
Terreno cerebral de celdas cerradas. Este tipo de superficie es común en los derrubios frontales lobulados, rellenos de cráteres concéntricos y acúmulos lineales de fondo de valle.
Cuadro de contexto que muestra el origen de la imagen siguiente. La ubicación es una región de acúmulos de fondo de valle (imagen HiRISE).
Terreno cerebral formado a partir de una capa más gruesa. Las flechas muestran la unidad más gruesa que se rompe en celdas pequeñas.
Terreno cerebral formado por el colapso de la unidad de llanura superior. Las flechas indican los puntos donde se están formando las fracturas que se convertirán en terreno cerebral.
Flechas señalando terreno cerebral en formación.
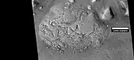
Posible glaciar rodeado por terreno cerebral (imagen HiRISE).
Vista general de una zona de formación de terreno cerebral (imagen HiRISE).
Detalle de la imagen anterior.
Otro detalle de la misma imagen.
Nuevo detalle, con las flechas indicando los puntos de formación del terreno cerebral.
Otro detalle similar.
Patrón de terreno cerebral consolidado.
Vista general de una zona de terreno cerebral (imagen HiRISE).
Detalle de la imagen anterior.
Formación de terreno cerebral (detalle).
Patrones de terreno cerebral de celdas abiertas y cerradas en el cuadrángulo Ismenius Lacus (imagen HiRISE).
Otro detalle similar al anterior.
Flechas indicando los puntos de formación del terreno cerebral en el cuadrángulo Ismenius Lacus.
Referencias
- Levy, J., J. Head, D. Marchant. 2009.
- Baker, D., J. Head. 2015.
- Souness, C. and B. Hubbard. 2013.
- Barlow, N. 2008.
- Head, J. and D. Marchant. 2006.
- Head, J. and D. Marchant. 2006.
- Head, J., et al. 2006.
- Head, J., et al. 2006.
Véase también
- Relleno de cráter concéntrico
- Glaciares de Marte
- Cuadrángulo Ismenius Lacus
- Acúmulo lineal de fondo de valle
- Derrubios frontales lobulados
- Nilosyrtis Mensae
- Protonilus Mensae
- Unidad de llanura superior