Phoracantha acanthocera
Phoracantha acanthocera es una especie de escarabajo del género Phoracantha, familia Cerambycidae. Fue descrita científicamente por MacLeay en 1826.[1]
| Phoracantha acanthocera | ||
|---|---|---|
![]() | ||
| Taxonomía | ||
| Reino: | Animalia | |
| Filo: | Arthropoda | |
| Clase: | Insecta | |
| Orden: | Coleoptera | |
| Familia: | Cerambycidae | |
| Género: | Phoracantha | |
| Especie: |
Phoracantha acanthocera MacLeay, 1826 | |
Es originaria de Australia. Ha sido introducida en Brasil,[1] también en Etiopía.
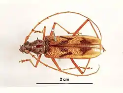
Mide 2 centímetros de longitud.
Referencias
- «Phoracantha acanthocera». Catalogue of Life (en inglés). Consultado el 27 de enero de 2022.
Enlaces externos
- Phoracantha acanthocera Interim Register of Marine and Nonmarine Genera.
Este artículo ha sido escrito por Wikipedia. El texto está disponible bajo la licencia Creative Commons - Atribución - CompartirIgual. Pueden aplicarse cláusulas adicionales a los archivos multimedia.
