Cadena Walvis
La cadena Walvis es una dorsal asísmica en el océano Atlántico meridional que se extiende unos 3000 km frente a las costas del sudoeste de África.[1] Tanto ésta como la dorsal Río Grande se originaron por vulcanismo en un punto caliente, que se sitúa ahora bajo las islas de Tristán de Acuña y Gough (es el punto caliente de Tristán de Acuña), a 300 km al este de la cresta de la dorsal mesoatlántica.[2] La sección este de la cadena parece haberse formado en el Cretácico Medio, entre 120 y 80 millones de años atrás.[3] El monte marino Ewing es parte de esta cadena.

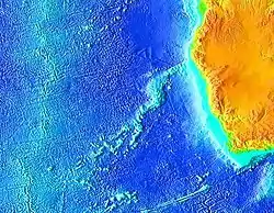
Vista aérea de la Cadena Walvis.
Referencias
- National Geographic Atlas of the World: Revised Sixth Edition, National Geographic Society, 1992
- «Walvis Ridge». Encyclopædia Britannica. Consultado el 12 de marzo de 2009.
- «Middle Cretaceous sediments from the eastern part of Walvis Ridge». Nature. Consultado el 12 de marzo de 2009.
Este artículo ha sido escrito por Wikipedia. El texto está disponible bajo la licencia Creative Commons - Atribución - CompartirIgual. Pueden aplicarse cláusulas adicionales a los archivos multimedia.