Aeropuerto de Hollywood Burbank
El Aeropuerto de Hollywood Burbank antiguamente Aeropuerto Bob Hope[3] (IATA: BUR, OACI: KBUR, FAA LID: BUR) es un aeropuerto público a 4.8 km (3 millas) al noroeste del centro de Burbank, en el Condado de Los Ángeles, California.[1] El aeropuerto sirve el área norte del Área Metropolitana de Los Ángeles, incluyendo Glendale, Pasadena y el Valle de San Fernando. Está más cerca del Parque Griffith y Hollywood que el Aeropuerto Internacional de Los Ángeles (LAX), y es el único aeropuerto en el área con conexión ferroviaria directa al centro de Los Ángeles. Los vuelos sin escalas en su mayoría sirven a ciudades en el oeste de Estados Unidos, mientras que JetBlue Airways tiene un vuelo nocturno a la ciudad de Nueva York.
| Aeropuerto de Hollywood Burbank | |||||||||||
|---|---|---|---|---|---|---|---|---|---|---|---|
| Hollywood Burbank Airport | |||||||||||
![]() | |||||||||||
| |||||||||||
| Localización | |||||||||||
| Ubicación | Burbank, California, Estados Unidos | ||||||||||
| Elevación | 237 | ||||||||||
| Sirve a | Norte del Área Metropolitana de Los Ángeles, Burbank, Glendale, Pasadena, Hollywood, Studio City, Universal City y el Valle de San Fernando | ||||||||||
| Detalles del aeropuerto | |||||||||||
| Tipo | Público | ||||||||||
| Operador | Burbank-Glendale-Pasadena Airport Authority | ||||||||||
| Servicios y conexiones | |||||||||||
| Base para | |||||||||||
| Estadísticas (2023) | |||||||||||
| Operaciones aéreas | 141,695 | ||||||||||
| Volumen de pasajeros | 6,034,729 | ||||||||||
| Pistas | |||||||||||
| |||||||||||
| Mapa | |||||||||||
![]() BUR | |||||||||||
| Sitio web | |||||||||||
| www.hollywoodburbankairport.com | |||||||||||
|
Fuente: Administración Federal de Aviación[1] y página del aeropuerto[2] | |||||||||||
Originalmente, el aeropuerto estaba ubicado completamente dentro de los límites de la ciudad de Burbank, pero el extremo norte de la Pista 15/33 se ha extendido desde entonces a la ciudad de Los Ángeles.
El aeropuerto es propiedad de la Autoridad del Aeropuerto de Burbank-Glendale-Pasadena y está controlado por los gobiernos de esas ciudades. La Autoridad del Aeropuerto contrata a TBI Airport Management, Inc. para operar el aeropuerto, que tiene su propio departamento de policía, la Policía de la Autoridad del Aeropuerto de Burbank-Glendale-Pasadena. El abordaje utiliza escalones de embarque portátiles o rampas en lugar de pasarelas de acceso a aeronaves.
Los registros de la Administración Federal de Aviación dicen que el aeropuerto tuvo 2,647,287 abordajes de pasajeros (embarque) en el Año natural 2008,[4] 2,294,991 en 2009 y 2,239,804 en 2010.[5] Está incluido en el Plan Nacional de Sistemas Aeroportuarios Integrados de la Administración Federal de Aviación (FAA) para 2017-2021, en el que se clasifica como una instalación de centro de conexiones mediano de servicio comercial primario.[6]
Instalaciones

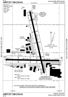
El Aeropuerto Hollywood Burbank cubre 248 ha (614 acres) en una elevación de 237 m (778 pies) sobre el nivel del mar. Tiene dos pistas de asfalto: 15/33 de 2,099 x 46 m (6,886 x 150 pies) y 8/26 de 1,768 x 46 m (5,802 x 150 pies).[1] Los aviones de pasajeros generalmente despegan en la pista 15 debido al viento del sur, y aterrizan contra el viento en la pista 8, ya que es la única pista con ILS y terreno despejado para la aproximación. Los vuelos desde el noreste a veces aterrizan visualmente en la Pista 15 para guardar distancia adicional para circular hacia la Pista 8. Cuando el viento viene del norte, los aviones a menudo se aproximan desde la izquierda a la Pista 33, con un giro a la izquierda cerca del aeropuerto.
En el año que terminó el 31 de octubre de 2016, el aeropuerto tuvo 131,465 operaciones, un promedio de 360 por día: 51% de aviación general, 33% de comerciales programados, 15% de taxis aéreos y <1% de militares. En noviembre de 2017, se instalaron 106 aviones en este aeropuerto: 50 aviones jet, 32 monomotores, 14 multimotores y 10 helicópteros.[1]
Terminales
El aeropuerto de Hollywood Burbank tiene dos terminales, "A" y "B", unidas como parte del mismo edificio. La Terminal A tiene nueve puertas numeradas de A1 a A9 y la Terminal B tiene cinco puertas numeradas de B1 a B5.
Aerolíneas y destinos
Pasajeros
Carga
| Aerolíneas | Destinos
|
|---|---|
| AirNet Express | Columbus–Rickenbacker |
| Ameriflight | Los Ángeles, Bakersfield, Oakland, Ontario, Santa Bárbara, San Luis Obispo, Santa María Estacional: Oxnard |
| FedEx Express | Lubbock, Memphis, Ontario |
| UPS Airlines | Chicago/Rockford, Louisville, Ontario |
Destinos nacionales
Se brinda servicio a 41 ciudades dentro del país a cargo de 12 aerolíneas.
| Destinos | Southwest Airlines | Avelo Airlines | JSX | Alaska Airlines | Spirit Airlines | United Airlines | Otra | # | |
|---|---|---|---|---|---|---|---|---|---|
| Albuquerque (ABQ) | • | 1 | |||||||
| Atlanta (ATL) | Delta Air Lines | 1 | |||||||
| Austin (AUS) | • | 1 | |||||||
| Boise (BOI) | • | • | • | 3 | |||||
| Bozeman (BZN) | • | 1 | |||||||
| Brownsville (BRO) | • | 1 | |||||||
| Chicago (MDW) | • | 1 | |||||||
| Colorado Springs (COS) | • | 1 | |||||||
| Concord (CCR) | • | 1 | |||||||
| Dallas (DFW) | American Airlines | 1 | |||||||
| Dallas (DAL) | • | 1 | |||||||
| Denver (DEN) | • | • | 2 | ||||||
| Denver (BJC) | • | 1 | |||||||
| Eugene (EUG) | • | • | 2 | ||||||
| Eureka (ACV) | • | 1 | |||||||
| Glacier Park (FCA) | • | 1 | |||||||
| Houston (HOU) | • | 1 | |||||||
| Kansas City (MCI) | • | 1 | |||||||
| Las Vegas (LAS) | • | • | • | • | 4 | ||||
| Medford (MFR) | • | 1 | |||||||
| Monterey (MRY) | • | 1 | |||||||
| Nashville (BNA) | • | 1 | |||||||
| Nueva Orleans (MSY) | • | 1 | |||||||
| Nueva York (JFK) | JetBlue Airways | 1 | |||||||
| Oakland (OAK) | • | • | • | 3 | |||||
| Phoenix (PHX) | • | American Airlines | 2 | ||||||
| Portland (PDX) | • | • | • | 3 | |||||
| Redding (RDD) | • | 1 | |||||||
| Redmond (RDM) | • | 1 | |||||||
| Reno (RNO) | • | • | 2 | ||||||
| Sacramento (SMF) | • | 1 | |||||||
| Salem (SLE) | • | 1 | |||||||
| Salt Lake City (SLC) | • | Delta Connection | 2 | ||||||
| San Antonio (SAT) | • | 1 | |||||||
| San Francisco (SFO) | • | • | 2 | ||||||
| San José (SJC) | • | 1 | |||||||
| San Luis (STL) | • | 1 | |||||||
| Santa Rosa (STS) | • | • | 2 | ||||||
| Scottsdale (SCF) | • | 1 | |||||||
| Seattle (SEA) | • | 1 | |||||||
| Tri-Cities (PSC) | • | 1 | |||||||
| Total | 21 | 14 | 7 | 5 | 3 | 2 | 5 | 41 | |
Estadísticas


Rutas más transitadas
| Número | Ciudad | Pasajeros | Aerolínea |
|---|---|---|---|
| 1 | 432,000 | Frontier Airlines, JSX, Southwest Airlines, Spirit Airlines | |
| 2 | 335,000 | American Airlines, American Eagle, JSX, Southwest Airlines | |
| 3 | 371,000 | JSX, Southwest Airlines | |
| 4 | 259,000 | Southwest Airlines | |
| 5 | 229,000 | Southwest Airlines, United Airlines, United Express | |
| 6 | 219,000 | Alaska Airlines | |
| 7 | 217,000 | Alaska Airlines, Southwest Airlines, JSX | |
| 8 | 185,000 | Southwest Airlines, United Airlines, United Express | |
| 9 | 137,000 | Alaska Airlines, Southwest Airlines | |
| 10 | 109,000 | Delta Connection, Southwest Airlines |
Tráfico anual
Ver fuente y consulta Wikidata.
| Año | Pasajeros | Año | Pasajeros | Año | Pasajeros |
|---|---|---|---|---|---|
| 2000 | 4,748,742 | 2010 | 4,461,271 | 2020 | 1,995,348 |
| 2001 | 4,487,335 | 2011 | 4,301,568 | 2021 | 3,732,971 |
| 2002 | 4,620,683 | 2012 | 4,056,416 | 2022 | 5,898,736 |
| 2003 | 4,729,936 | 2013 | 3,844,092 | 2023 | 6,034,729 |
| 2004 | 4,916,800 | 2014 | 3,861,179 | ||
| 2005 | 5,512,619 | 2015 | 3,943,629 | ||
| 2006 | 5,689,291 | 2016 | 4,142,943 | ||
| 2007 | 5,921,336 | 2017 | 4,739,466 | ||
| 2008 | 5,331,404 | 2018 | 5,263,972 | ||
| 2009 | 4,588,433 | 2019 | 5,983,737 |
Aeropuertos cercanos
Los aeropuertos más cercanos son:[13]
- Aeropuerto de Los Ángeles Century City (17 km)
- Aeropuerto Internacional de Los Ángeles (29 km)
- Aeropuerto de Long Beach (46 km)
- Aeropuerto de Upland Cable (62 km)
- Aeropuerto Internacional LA/Ontario (70 km)
Véase también
Referencias
- Registro principal de la FAA para el BUR (Forma 5010 PDF). Federal Aviation Administration. efectivo el 9 de noviembre de 2017.
- «Airport Statistics». Burbank-Glendale-Pasadena-Airport Authority. enero de 2024. Consultado el 25 de febrero de 2024.
- Carpio, Anthony (mayo de 2016). «Bye bye, Bob Hope: Airfield rebrands as Hollywood Burbank Airport». Burbank Leader. Los Angeles Times. Consultado el 4 de mayo de 2016.
- «Enplanements for CY 2008» (PDF, 1.0 MB). CY 2008 Passenger Boarding and All-Cargo Data. Federal Aviation Administration. diciembre de 2009.
- «Enplanements for CY 2010» (PDF, 189 KB). CY 2010 Passenger Boarding and All-Cargo Data. Federal Aviation Administration. octubre de 2011.
- «List of NPIAS Airports» (PDF). FAA.gov. Federal Aviation Administration. octubre de 2016. Consultado el 30 de mayo de 2017.
- «Santa Barbara, Yosemite, Tahoe and more: Get there on Delta with new and returning flights for summer 2024». Delta News Hub. Consultado el 15 de septiembre de 2023.
- «Premium Air Carrier, JSX, Relaunches Popular Seasonal Flights to Monterey from Burbank and Orange County Starting June 27, 2024». Consultado el 18 de abril de 2024.
- «Southwest Airlines Extends Flight Schedule With New International Options And Most-Ever Departures». Southwest Airlines (en inglés). octubre de 2023. Consultado el 26 de octubre de 2023.
- «Spirit Airlines NS24 Network Additions». Aeroroutes. Consultado el 3 de abril de 2024.
- RITA | BTS | Transtats. Transtats.bts.gov. Consultado el 29 de marzo de 2024.
- «Hollywood Burbank Airport». Burbank-Glendale-Pasadena-Airport Authority. enero de 2024. Consultado el 25 de febrero de 2024.
- «Aeropuerto de Burbank». Skyscanner.net. Consultado el 27 de agosto de 2019.
Enlaces externos
Portal:California. Contenido relacionado con California.- Página oficial de BUR (en inglés)
- Sitio Oficial del Departamento de Transportes de los Estados Unidos (en inglés)
- Administración Federal de Aviación de los EE. UU. (en inglés)
- Diagrama del aeropuerto de la FAA (PDF), en efecto el 21 de marzo de 2024
- Información meteorológica y de navegación aérea sobre Aeropuerto de Hollywood Burbank en FallingRain.com
- Información del Aeropuerto de Hollywood Burbank en AirNav (en inglés)
- Información del Aeropuerto de Hollywood Burbank en Great Circle Mapper. (en inglés)
- Historial de accidentes del Aeropuerto de Hollywood Burbank en Aviation Safety Network (en inglés)
- Fuentes para este aeropuerto:
- AirNav - información del aeropuerto para KBUR
- ASN - historial de accidente para BUR
- FlightAware información del aeropuerto y rastreo de vuelos en vivo
- NOAA/NWS - últimas observaciones climatólogicas
- SkyVector - cuadro aeronáutico para KBUR
- FAA - información actual de retraso para BUR



